トップ > 第五潮路丸 磯釣り釣果 2009年5月

第五潮路丸 磯釣り釣果
2006年  

      6月 7月 8月 9月 10月 11月 12月
2007年 1月 2月 3月 4月 5月 6月 7月 8月 9月 10月 11月 12月
2008年 1月 2月 3月 4月 5月 6月 7月 8月 9月 10月 11月 12月
2009年 1月 2月 3月 4月 5月 6月 7月 8月 9月 10月 11月 12月
2010年 1月 2月 3月 4月 5月 6月 7月 8月 9月 10月 11月 12月
2011年 1月 2月 3月 4月 5月 6月 7月 8月 9月 10月 11月 12月
2012年 1月 2月 3月 4月 5月 6月 7月 8月 9月 10月 11月 12月
2013年 1月 2月 3月 4月 5月 6月 7月 8月 9月 10月 11月 12月
2014年 1月 2月 3月 4月 5月 6月 7月 8月 9月 10月 11月 12月
2015年 1月 2月 3月 4月 5月 6月 7月          

2009年5月31日

隠岐の島町 億岐史人様

釣場 久見の平島

昼からの釣行でしたが、昼にはグレの食いが止まった後でした(>_<)
替わりに良型真鯛!!

真鯛・チヌ・グレ


2009年5月31日

隠岐の島町 斉藤光弘様

釣場 馬背

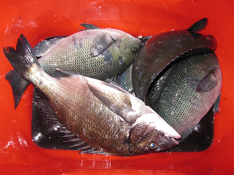
腹ポンポンの美味そうな良型グレ!!

グレ 35cm級頭に8枚
チヌ 45cm級〜49cm級3枚
真鯛 40cm級


2009年5月31日

やっちん&うちの弟

釣場 久見の平島

朝のうちは狙いグレがいい調子で釣れてたのだが、その後夕方までほとんど食わなくなったとか。

グレ 30cmUP頭に多数
真鯛 40cm級・47cm級
ウマヅラ・本カワ・石鯛


2009年5月30日

広島県の磯師4名様

釣場 牡丹岩

深くしても浅くしてもずっと刺し餌は残りっぱ!
4時頃に時合いなのかグレが2ヒロくらいでパタパタっと当たりましたが、その後はまた沈黙…結局日暮れを迎えました。

グレ・チヌ


2009年5月27日

隠岐の島町 2名様

釣場 久見の黒島(西)

真鯛 35cm級〜60cm級6枚
グレ 30cm級〜35cm級8枚
メバル・ウマヅラ



2009年5月27日

竿友会 三原憲作様 御一行
NFS 野島玉造様 御一行

真鯛 40cm級〜55cm級
ヒラマサ 65cm級
尾長グレ 45cm級他
チヌなど


2009年5月27日

隠岐の島町 重栖泰喜くん

釣場 代一文字

一文字のアオリ狙いでしたが、1発アオリのアタリがあったものの乗らず…
後からマイボートで来たいつもの五箇のヒラマサ釣りのおっつぁんが1本掛けたものの目の前でバラシたところを見てヒラが居るんだ〜っと、一応持って来たジグでヒラマサ狙うことに!
とは言えタックルはエギングロッドにラインはPE0.5号・ハリス1.75号の来たとこ勝負だ(^_^;)
午後1時頃アタリが集中!とうとう来てしまったようだ!ライトタックルでスリル満点!楽しめたことだろう(笑)
よう捕った!!

ヒラマサ・マルゴ


2009年5月26日

5月26日 安来市 狩野次男様

釣場 立島

今回も基本チヌ狙い釣行ですが、前日も外海のチヌが不発…今日はダメなら真鯛・ヒラマサを狙います!とのことで、とくに真鯛・ヒラマサ回遊区域である立島へ!
チヌの気配は無く狙いを変えました。
グレや餌捕りが消えたな〜っと思いきや!やはり食って来たそうです。
とは言え、たまたまハリスを5号→2号へ落したばかり(^_^;)20分かけてなんとか捕り込んだとか。
もう1本ヒットしましたが、それはとにかく下へ!下へ!とうとう瀬に当たり…
でもいいお土産が出来て良かった(^^)

ヒラマサ 70cm級
グレ 30cm級数匹など


2009年5月26日

隠岐の島町 伊藤和男様

釣場 久見の黒島

グレ 33cm級頭に6枚
メバル・ウマズラ



2009年5月26日

隠岐の島町 永海千暁様

釣場 久見の黒島

グレ 尾長・口太35cm級他
真鯛 40cm級〜50cm級3枚
石鯛 40cm級


2009年5月25日

隠岐の島町 松浦日出治様・冨田義人様

釣場 久見の黒島(西)

ここのとこ東磯・北磯で散々ウマヅラに悩まされた両氏。
今日はまぁ〜まぁ〜のグレも釣れ久々に釣りした〜って感じだったとか(笑)
途中大型がなんとか釣れんかな〜っと今度は欲が出て来たようですが。
今日は他の磯も潮無しで調子悪し!良しとせねば!

グレ 34cm級頭に10枚(木っ端はリリース)
真鯛 47cm他
石鯛 40cm級
ウマヅラ


2009年5月24日

船長の従弟

釣場 代の黒島

一人舞台!大鯛にグレ大量!
そろそろグレがいい感じになってまいりました。

グレ 40.5cm頭に山盛り
真鯛 92cm 8キロ
ウマズラ




2009年5月24日

五箇の若者3人衆

釣場 久見の黒島(西)

2周前までは餌付きっぱなしで何にも食わないさっぱりだったこの島であります。
少し期間をあけたのでどうかわからない状況でしたが3人衆が行きたいとのことで向かいましたが、狙いのグレが結構釣れるようになりました!これからに期待!

グレ 33cm級頭に多数
石鯛・ウマズラ


2009年5月23日

隠岐の島町 板持正史様

釣場 久見の平島

いいサイズの狙い通りのヒラマサGET!

ヒラマサ 75cm
グレ 30cm級他
真鯛 40cm級



2009年5月23日

五箇のおっつぁん

釣場 久見一文字

昼までの釣行。
竿納間際にいい魚が来たが惜しくもハリ外れ…
リベンジ!!

チヌ・鯛・グレ


2009年5月23日

隠岐の島町 中西孝雄様

釣場 馬背

いい型の鯛に2発バラされたようです。
食い頃サイズはGET!

鯛・チヌ・グレ他



2009年5月16日

隠岐の島町 吉田大和くん

釣場 福浦御崎

尾長グレ 43cm
チヌ 40cm級〜47cm



2009年5月16日

隠岐の島町 三島薫様

釣場 久見の平島→牡丹岩

開始3投目で本命のヒラマサヒット!
格闘の末、目の前まで寄せたが最後の突っ込みでなんと痛恨の針外れ(>_<)
悔しいバラシとなりました。
その後も時折目の前に現れるヒラマサでありました。
リベンジ!!

チヌ 40cm級〜47cm級
石鯛 1キロ級
グレ


2009年5月16日

隠岐の島町都万のグレ師

釣場 小島→牡丹岩

小島 チヌ 45cm級
牡丹岩 チヌ 40cm〜42cm級 

※すべてリリース
画像無し


2009年5月15日

五箇の3人衆

釣場 元島

早朝、北からのウネリが昨日よりデカくなり北方面の磯はアウト!南下してみれば沖の瀬は水没してるので隣の元島でグレ狙い。
スズメ鯛・木っ端グレが沢山いるようです。
途中大鯛らしき物にラインごと切られていまったようですが…

チヌ 40cm級〜45cm級 6枚(リリース)
グレ 木っ端 狙えばいくらでも
画像無し


2009年5月14日

安来市 狩野次男様

釣場 弁天島

チヌ狙い2日目の半日。
50オーバーは出ませんでしたが頻繁にあるアタリで退屈無く楽しめたようです!

チヌ 35cm級〜45cm級 12枚
真鯛 35cm級他


2009年5月13日

安来市 狩野次男様

釣場 メバル壺

昼から夕まで湾内のチヌを狙いました。
数こそ釣れましたが、納得サイズが出ませんでした。
明日に期待!
※すべてリリースです。

チヌ 35cm級〜40cm級 10枚
画像なし


2009年5月10日

真庭市湯原温泉 手島俊二様

釣場 馬背

早朝は15m級の強風で立っているのもままならない馬背でしたが、昼前には風も半分に!
いいタイミングで昼から入った手島さん。
1投目いきなりヒラマサの洗礼!
俄然やる気が出ます!
その後も2発の大鯛がヒットしましたがこれもラインブレーク…
悔しいバラシもありましたが楽しめたようです。
明日リベンジ!!

真鯛・チヌ


2009年5月10日

うちの弟

釣場 松島

早朝の強風を避けるべく松島へ!
さすがに風は回り込んで来るが何とか釣り可能。
なんやかんや釣れるいい磯!
夕方竿納寸前には目の前をヒラマサの群れが〜〜〜

ヒラマサ 71cm
チヌ 40cm級〜53cm
グレ 数枚
メバル



2009年5月10日

松江市 今村勝己様
米子市 堀田稔様
出雲市 井上博之様

釣場 弁天島

今日はチヌ釣りに専念!
早朝、15m級の南西風ながらここは沖向きに釣座を構えれば後ろから来る強風ですこぶる遠投が効く(笑)
第1投目から50cm級がヒットして幸先の良いスタート!連発モードになるかと思いきや
その後はポツポツながらのヒット。
それでもリリースを入れたら多数釣られました。

チヌ 35cm級〜51cm級 10数枚
メバル・ウマヅラ・グレ・真鯛など


2009年5月9日

松江市 今村勝己様
米子市 堀田稔様
出雲市 井上博之様

釣場 馬背

回り込む南の強風で釣り辛い中ではありましたがチヌ・真鯛などで楽しめたようです。

チヌ 42cm〜48cm級
真鯛 36cm級〜43cm級
ウマズラ




2009年5月7日

地元グレ師

釣場 代の黒島

フグの猛攻の中、なんとか本命グレ!

グレ 28cm級〜33cm級4枚
チヌ 42cm〜46cm級2枚(リリース)


2009年5月6日

神戸市 中村俊信様 <オーナー針 カルティバフィールドテスター>
      
神戸市 青木健一郎様

釣場 立島

ショアジギング最終日!
渡礁後1時間程度でヒラマサ・マルゴGET!
いい感じ!だったけど潮が止まりアタリが遠のいた様子。
でも嬉しいゲストもヒットして満足!
3日間思いきり楽しめて良かった〜!っと(^^)
お疲れ様でした。
※今回釣行の詳しい詳細はオーナーばりHPにUP予定

ヒラマサ・マルゴ・ヒラメ


2009年5月6日

うちの弟

釣場 代の黒島

ヒラマサ・グレ他


2009年5月6日

隠岐の島町 中西孝雄様

釣場 馬背

昼までのヒラマサ狙いですが、11時頃どげな〜?おっつぁん?と聞くと潮も動かんしダメだわ〜っと釣れてない様子で諦めモードのよう…
しかしその直後だったようです!
竿受けにさし掛けて置き竿でよそ見をしてるとガタガター!危うく竿ごと持って行かれるところ!
突然来たヒラマサに応戦するも針外れ(-_-)
気を取り直し再開!すぐさまヒット!
今度は無事本命を捕り込んだようです。
やりー!おっつぁん(^^)

ヒラマサ 71cm


2009年5月6日

やっちん

釣場 代の黒島

チヌ 36cm・43cm級
真鯛 
ウマズラ


2009年5月6日

地元グレ師

釣場 夜母瀬グリ

チヌ 38cm〜45cm7枚
画像なし


2009年5月5日
神戸市 中村俊信様 
<オーナー針 カルティバフィールドテスター>
      
神戸市 青木健一郎様

釣場 大黒島

磯ジギングのショア青物!
早朝、前日の久見黒島へ上がる予定だったがマイボートで来た磯師の姿があり…
ええいっ!中村まで走るよ〜!
大黒へ向い日暮れまで頑張り狙いのヒラマサ・マルゴでビクトリークロス(^^)v

ヒラマサ 70cm級3本
マルゴ 70cm級




2009年5月5日
八束郡 久木力様他2名

釣場 長島

チヌ 53.5cm
カサゴ 多数


2009年5月5日
うちの弟

釣場 小黒島→カモメ

チヌ 45cm級2枚 (小黒島)
チヌ 50cm級〜55cm級3枚 (カモメ)
グレ 30cm級2枚 
※40cm級2枚、目の前で針外れ


2009年5月5日
隠岐の島町 宇野豊之様
        田中蓮平くん 小学生磯師

昨日に続き今日も磯でさらなる大物を狙いました!
>今日はお爺ちゃんにかなわなかった蓮平くんでしたが今日も良型チヌを釣り上げました(^^)
ヒラマサのバラシもあり!

チヌ 44cm〜47cm 3枚


2009年5月4日〜5日
橋本正樹様

釣場 久見の黒島(西)

昨日の昼から今日の昼までの通し釣り。
4日昼から夜釣りの間ノーヒット…
今朝からポツポツと魚の反応が現れお土産GET!

チヌ 38cm級〜46cm級
グレ 30cmUP
アイナメ 45cm級2本
ホッケ 40cm級
ウマヅラ


2009年5月4日
愛知県豊川市 中村貴充様
小牧市 滝進太郎様
知多郡 羽尾栄一様

釣場 馬背・久見平島

磯ジグでヒラマサ狙いでしたが残念ながらヒラはヒットならず…
替わりにハマチ・チヌでした。
明日に期待!

ハマチ 5本
チヌ 46cm


2009年5月4日
隠岐の島町 田中蓮平くん 小学生磯師

釣場 久見の平島

大型のチヌに引き込まれそうになりながらも釣り上げた大物!上手いぞ〜(^^)

チヌ 50cm・47.5cm
グレ 30cm



2009年5月3日
隠岐の島町 和田徹くん

釣場 田見崎

昼からのグレ狙い。
1時間程の時合いにパタパタッ!
とアタリ十分なお持ち帰りをGET!

グレ 15枚くらい
チヌ 45cm級(リリース)


2009年5月3日
隠岐の島町 中西孝雄様

釣場 大崎

昼までの真鯛狙い。
真鯛はヒットしませんでしたが良型チヌGET!

チヌ 48.5cm


2009年5月2日
隠岐の島町 松新達三様

釣場 久見の平島

早朝は凪模様だが次第に強まる風!
まぁ〜予報通りなのだが。
10時を過ぎる頃には他の釣場からも昼にはあがりたいと言う電話が(>_<)
10mを超す強風にまともに竿が振れずギブアップ!
昼にはみんな終了した。

チヌ 38cm

Copyright (C) 2005-2015 ぐーおき Corporation. All Rights Reserved.