トップ >  磯釣り釣果 2011年6月

第五潮路丸 磯釣り釣果
2006年  

      6月 7月 8月 9月 10月 11月 12月
2007年 1月 2月 3月 4月 5月 6月 7月 8月 9月 10月 11月 12月
2008年 1月 2月 3月 4月 5月 6月 7月 8月 9月 10月 11月 12月
2009年 1月 2月 3月 4月 5月 6月 7月 8月 9月 10月 11月 12月
2010年 1月 2月 3月 4月 5月 6月 7月 8月 9月 10月 11月 12月
2011年 1月 2月 3月 4月 5月 6月 7月 8月 9月 10月 11月 12月
2012年 1月 2月 3月 4月 5月 6月 7月 8月 9月 10月 11月 12月
2013年 1月 2月 3月 4月 5月 6月 7月 8月 9月 10月 11月 12月
2014年 1月 2月 3月 4月 5月 6月 7月 8月 9月 10月 11月 12月
2015年 1月 2月 3月 4月 5月 6月 7月          

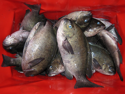
2011年6月26日
福浦御崎での釣果
 
グレ 30〜34cm級
※30cm以下多数リリース(写真は一人分)
良型メバルなど


2011年6月26日
地元磯師
 
牡丹岩(御崎寄りの角)
 
ここの大鯛に何度も切られてますが、そのリベンジです!
刺し餌は付きっぱなし!大物が寄ってる雰囲気十分!!
そして狙いの“奴”は2度も来たのですが…
またまたハリス切れでリベンジならず。
ではまた(笑)
 
チヌ 48cm級
グレ 25cm級


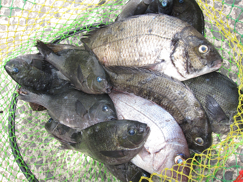
2011年6月20日
隠岐の島町 安部正継様
 
馬背
 
3投目にヒットしたのは良型の真鯛でした!
その後は木っ端グレ入れ食いの中、持ち帰りサイズを数枚キープして昼であがりました。
 
真鯛 55cm級
グレ 30〜33cm級6枚
チヌ 40cm級



2011年6月19〜20日
真庭市湯原温泉 手島俊二様
 
代の黒島
 
1つの大鯛は針が外れてしまいましたが、もう1つのをやりました!
イサキも良型揃い♪
 
真鯛 81.5cm他
イサキ 40cm級2本・35cm級
グレ・ヤズ・他



2011年6月19〜20日
米子市 中西節夫様・遠中輝男様
安来市 山本義徳様
 
久見の黒島
 
狙いの真鯛やイサキをそれぞれ釣り上げ楽しめたようです♪
一晩中釣りに専念してもう体力が待たないようで、朝上がりで5時間フェリーでゆっくり休みながら帰られました。
 
真鯛 50cm級頭に13枚
イサキ 40〜45cm級4本・35cm級2本
マハタ 45cm級
グレ・メバルなど



2011年6月19〜20日
米子市2名様
 
牡丹岩(壁)
 
前回のバラした大鯛のリベンジでしたが、その標的が2度ヒット!
しかし1枚目はフィニッシュ寸前に針が伸びてしまい…
2枚目はまだまだ大きい奴でしたが根擦れでブレーク…
また忘れられない釣行になりました。
「とにかくデカかった2枚目掛けた時の手の感触が残り〜…」
 
真鯛・グレなど
※画像無し


2011年6月19日
地元3名様
 
立島
 
グレ 33cm級他多数
※木っ端は沢山リリース
イサキ 40cm級
ヤズ等




2011年6月19日
倉敷市 2名様
 
代の平島
 
グレ 30cm級他
チヌ 40cm級他



2011年6月19日
地元2名様
 
馬背
 
グレ 30cm級他
※写真は一人分の釣果


2011年6月19日
地元3名様
 
久見の黒島
 
グレ 30cm級他
真鯛 45cm級



2011年6月18日
倉敷市 中山彰郎様
尾道市 上野活裕様
 
馬背
 
グレ良型
石鯛・チヌ・ヤズ


2011年6月18日
隠岐の島町 神原祐治様
 
代の黒島
 
グレ 33cm級、他数枚
真鯛 45cm級
イサキ 40cm級



2011年6月18日
出雲市 林亨一様
 
代の一文字
 
真鯛・イサキ狙いの釣行。
去年もここで良い釣りをしてました!
「下手に磯上がるよりも足場は良いし釣れるしここの方が〜」っと、お気に入りポイントであります。
今回も裏切られる事無くいい型の真鯛ばかり♪
「最高です〜♪」
 
真鯛 71.5cm・68cm×2枚・他数枚
イサキ 40cm級2本
メバル 25〜30cm級



2011年6月16日
隠岐の島町 山下光磨様
 
代の黒島
 
本命は大グレですが、30cm級止まりで…
大物は真鯛でした!
 
グレ 30cm級他多数
※連れの方も同じく!
 
真鯛 81cm



2011年6月15日
馬背での釣果
 
食べる分だけ持って帰り、多数リリース。
 
グレ 25〜33cm級



2011年6月15日
代の黒島での釣果
 
グレ 25〜34cm級、他リリース


2011年6月12日
鳥取市  青谷町磯釣組合 御一行様
 
福浦御崎・沖の瀬・平島・馬背
 
11日〜12日にかけて日中釣り組と通し釣り組に分かれての釣行。
大物を釣り上げた方あれば、小〜中型の数釣りをされた方、大物を残念ながらバラしてしまった方、それぞれ思い出に残り楽しめたことと思います!
また遊びに来てください。
 
真鯛 62cm他
グレ 42cm頭に多数
チヌ 50cm級〜53cm3枚、他
イサキ 35cm級4本、他
ヒラスズキ 50cm級
(などなどでまだまだ魚は沢山いました、写真は一部分です!)





2011年6月12日
隠岐の島町 廣江利行様・佐々木合様
 
久見の黒島
 
11日夕方〜12日朝方までの通し釣りです。
まさに今が“旬”!腹ポンの良型イサキ♪
真鯛にグレに青物に高級根魚などで楽しめました。
 
イサキ 40〜43cm級5本
マハタ 50cm級
マルゴ 1本
ヒラマサ・鯛・メバル・グレ


2011年6月11日
隠岐の島町 斉藤光弘様・原功一様
 
馬背
 
グレ大漁! 25〜33cm級
(クーラー満タン+バッカン2個)
イサキ 40cm級




2011年6月11日
鳥取メンバー3名様
 
馬背
 
グレ 25〜30cm級30数枚
ウマズラ・鯛数匹
※写真は一人分


2011年6月11日
島根・高知のメンバー3名様
 
久見の黒島
 
思うように釣れませんでしたが、今夜の酒の肴は出来ました。
 
グレ 25〜30cm級
※写真は一人分


2011年6月11日
地元4名の“プチ”釣り大会
 
牡丹岩
 
30cm級も時折混じるグレの数釣りでした!
チヌも数枚混じりましたね〜
 
グレ 50〜60枚
チヌ 40cm級数枚
※写真は一人分です。


2011年6月11日
うちの弟
 
福浦御崎
 
昼入りのお客さん迎えを頼んでいる為、早朝から短時間の釣り。
早朝は今一つでしたが、良い潮が走った時合に待ってましたの尾長2発!
でしたが…
痛恨の針外れ!ハリス切れ!
 
グレ 30cm前後10枚


2011年6月10〜11日
益田市の磯師2名様
 
久見の黒島
 
大物は出ませんでしたが、なんやかんやでお土産はできました。
 
グレ 30cm級他数枚
イサキ 良型
メバル 良型
鯛・ウマヅラ・ヤズ・ガシラ



2011年6月8〜9日
倉吉市 高浜正男様
 
大崎
 
初日は微風のベタ凪から、2日目は10m級の南〜南西の風に湾内でも白波舞い、港へ向かう途中には吹っ飛んだ波シブキが車のフロントガラスを叩きつける!帰ってから水で流さないと大変だ〜!
そんな状況下ですが、この釣り場は難なく釣りが出来たようです。
良型のグレや、チヌ・鯛で楽しめました♪
 
グレ 41cm・35cm級
チヌ 45cm・35cm級
真鯛 45cm級




2011年6月8〜9日
真庭市の名人
 
大崎
 
今回は「祝い用の鯛が欲しいんじゃが〜」っと、真鯛狙いの釣行。
帰ってからどうやらお祝い事があるようです!
初日はベタ凪から二日目は次第に南から荒れて来る海象で、大崎を薦めてみました。
本命の真鯛が昼間に見事ヒットしましたが、相手がデカ過ぎました!
やりとりの末に瀬の落ちに擦れてしまいラインブレーク…
バラシはしましたが、「ここ面白いところだわ〜」なんやかんやでバッカンは満タンに!
楽しめたようです♪
 
チヌ 53cm・50cm・35〜45cm級4枚
石鯛 40cm弱2枚
大アジ・ヤズ数匹
グレ・鯛・ガシラ数匹



2011年6月6日
地元グレ師2名様
 
福浦御崎
 
大型こそ出ませんでしたが、暇なくウキが消し込むもんだから楽しめたようです!
なんやかんやで7目釣り達成!
 
グレ 30cmUP筆頭にいっぱい(写真は一人分)
※リリースもいっぱい
グレ・石鯛・サヨリ・チヌ・etcで7目


2011年6月6日
地元磯師
 
牡丹岩(御崎寄りの角)
 
ベタ凪となった本日、「ここにようやく上がれる!」
と意気揚々の釣行でしたが、なかなかサイズが上がらず苦戦しました!
 
グレ 25cm級多数
チヌ 40cm級・35cm級


2011年6月5〜6日
真庭市のフカセ師
 
久見の黒島(北)
 
前日は南西のウネリも残り釣り場が限られました。
そんな中、ここなら安心して出来ました。
フグの猛攻などもありなかなか思うように釣れませんでしたが、釣りが出来ただけでも満足でした!
 
グレ 30〜33cm級(木っ端リリース)
メバル 良型数匹
イサキ 35cm級
チヌ 40cm級
ヤズ・鯛・ウマヅラ


2011年6月5日
地元磯師3名様
 
馬背
 
グレ 30〜33cm級(木っ端リリース)
鯛・カワハギなど



2011年6月5日
地元磯師
 
田見崎
 
前日から「明日も早朝はまだ吹いてるだろうし面白くないから〜」と一端中止にしていた本日。
やがては凪になるのはわかっているのだが、早朝せっかく来てもらっても風ビュービューでダメなら悪いから!の判断で一応そうしました。
そう、正直今日の現状判断しかないのだ!
そうこうしてると今日になって「今朝一応港まで行ったけどやっぱりビュービュー吹いてて…」や、「船長昼からでも行けんかな〜」や、前日の夜には本土のお客さんから「二日目の半日だけでも…」などと再度の声に
「行けるようになりましたよ〜!」
そう、別に急がない今日の判断でかまわないお客さんで風も落ち着いた頃からゆっくりと出船となりました。
朝間こそ、風・ウネリともありましたが、昼からみるみるうちにベタ凪方向へ!
しかし、潮は無しで釣果はいまひとつでしたが「竿が出せ
良かったです〜!」の面々でした。
 
グレ 30cm級、他10数枚
チヌ 40cm級


2011年6月3〜4日
広島県 金澤卓也様・佐藤禎一様
 
馬背
 
グレ狙いとショアジグのコンビです。
昨日の日中は穏やかで釣り日和、しかしその凪も本日まで!
夜のうちから吹いて来て今日にかけ荒れる予報はどんどん悪い方向へ…
昨日の日中はグレの数釣りを楽しめたようですが、夜釣りに入ると何もアタリは無く風も強まり早々に寝入ったようです。
夜が明けて釣りを再開するも風でアタリも何もわからない状態…
その頃丁度、私から「この風じゃ釣りどころじゃないので上がりましょうや〜」の電話に、すぐさま「ハイッ!いつでも終了出来ます〜!」の返事。
南西の風10〜15m級・波高2m撤収です!
午後から入る予定の通し9名の岡山メンバーには中村の浜田屋渡船さんに依頼して今日は終了としました。
明日も日中、同じような風で面白くない!中止の予定です。
 
グレ 33cm級頭に30枚
ヤズ(ショアジグで)


2011年6月3日
うちの弟
 
福浦御崎
 
朝間に真鯛の良型が食って来たものの…
潮はまったく無しかわずか動いても南潮の最悪潮!
木っ端グレはなんぼでも食って来るのだが…
キープサイズを釣るのに四苦八苦でした。
 
真鯛 70cm
グレ 30〜34cm級 16枚
※写真は午前ちゅうまでのもの、午後から数枚追加。
30cm以下リリース



2011年6月1日
第五潮路丸船長 磯釣り釣果
 
福浦御崎
 
本日は渡船無し、まずは早朝沖へジギングへ!
一時間半程シャクッて一発ヒラマサがヒットしましたが針外れ…
南風も強まり反応も薄れ面白くない!根魚を釣って終了。
久々に磯へ出掛けてみるか〜!
簡単に準備を済ませ10時頃から6時間ほどの磯釣りです。
南風が強く潮も動いて無い為、思いの深場は諦め北向きの浅場で鯛・チヌ狙いにしました。
適当にウキが入るしそこそこ楽しめ、終了間近に風が和らぎ南向きの深場でグレ・石鯛を追加して竿納としました。
 
真鯛 60cm他、小鯛
チヌ 40cm級4枚
石鯛 30〜35cm級4枚
グレ 小型数枚
本カワ・サヨリなど

Copyright (C) 2005-2015 ぐーおき Corporation. All Rights Reserved.